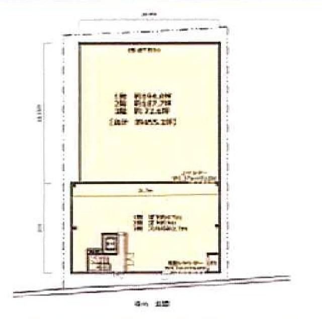
物件NO SF-0016 種別 売工場 所在地 川口市東領家5丁目 土地面積(坪) 230.49坪 価格/賃料 26,500万円 用途地域 工業 現況 建蔽率 60% 引渡し可能日 現況空家・引渡日相談 容積率 200% 交通 首都高速「東領家出口」0.4㎞ 日暮里舎人ライナー「谷在家」駅徒歩24分 接道 8m その他 1997年築・荷物用EV(2t)1基・乗用EV1基・建ぺい率超過 鉄骨3階・倉庫・工場 1階643.98㎡・2階620.63㎡・3階240㎡ 周辺マップ