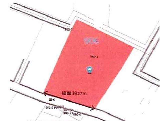
物件NO SG-0091 種別 売土地 所在地 深谷市新戒 土地面積(坪) 673.15坪 価格/賃料 2,980万円 用途地域 無指定 現況 更地 建蔽率 60% 引渡し可能日 現況更地・引渡日相談 容積率 200% 交通 関越 「本庄児玉インター」12㎞ JR高崎線「深谷」駅4㎞ 接道 南5m その他 倉庫・資材置き場・駐車場・太陽光等多目的用地 事業用地・2225.31㎡(673.15坪) 幅員5m公道・間口約36.5m 周辺マップ