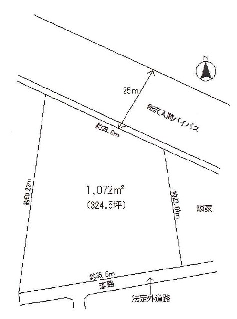
物件NO SG-0050 種別 売土地 所在地 所沢市北野3丁目 土地面積(坪) 324.28坪 価格/賃料 3,250万円 用途地域 調整区域 現況 更地 建蔽率 60% 引渡し可能日 現況更地・引渡日相談 容積率 200% 交通 圏央道 「入間インター」5㎞ 西武池袋線「狭山ヶ丘」駅1.6㎞ 接道 北東25m その他 国道463号バイパス沿い・資材置き場・駐車場・自働車修理工場等 国道463号線沿い・1072㎡(324.28坪) 資材置き場・駐車場・自働車修理工場 周辺マップ